By Roland Murphy for AZBEX
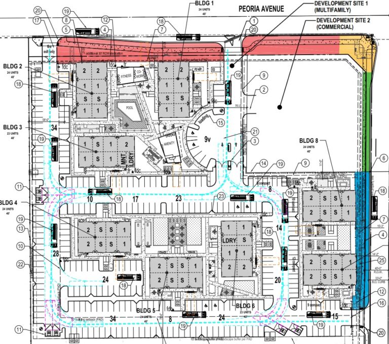
Greenlight Communities wants to build 190 new workforce attainable apartments on 7.64 gross acres at the SWC of 87th and Peoria avenues.
The proposed site for Streamliner Peoria is currently zoned Planned Area Development and was originally planned for three-story residential townhomes and residential lofts over ground-floor retail. The submitted narrative says, โHowever, this challenging, vacant, and underutilized infill Site has failed to develop as proposed and is unlikely to develop because there is no current market demand for this model. A more appropriate use for the Site is a mixed-use development consisting of a multifamily development geared toward members of the workforce (meaning those who make 60-100% of AMI) and a small retail area at the northeast corner of the Site.โ
Greenlight is requesting an amendment to the Old Town Specific Area Plan land use designation and replacing the existing Acacia Village PAD for its proposed mix of multifamily and commercial uses. Approximately 1.4 acres would retain its current Office Mixed-use designation, while the remaining 6.2 acres would change to High Density Residential.
The residential units would consist of 71 studio, 72 one-bedroom and 47 two-bedroom units. Unit sizes would range from 427SF to 702SF. Planned amenities include a pool, community room, fitness center, co-working lounge, an outdoor kitchen/barbeque area, and open space with several seating areas.
The staff analysis found the requested amendment to the Old Town Specific Area maintains the plan objectives by providing a horizontally integrated mixed-use area and provides consistent use with surrounding properties on the north side of Peoria Avenue and single-family developments to the south. It also found the request provides a transition from the mixed-use office land on the siteโs northeast corner and surrounding single-family. Other plusses include the addition of more residents to support existing commercial and more potential riders for existing transit services.
To date, the project has received three emails in opposition voicing the usual concerns about crime, housing density, rental housing in general, impacts on schools, damage to neighborhood character and a desire for more retail.
The Peoria Planning and Zoning Commission is scheduled to hear the proposal on April 20.
Greenlight Communities is the project owner and will serve as its own general contractor through Greenlight Construction. The design firm is WORKSBUREAU. The project is represented by Burch & Cracchiolo, P.A.
Greenlight has been a major developer of workforce housing in Arizona in recent years. The DATABEX project database shows the companyโs total development portfolio consists of 15 communities made up of more than 3,650 units with an estimated development cost of more than $474M.
Of those communities, six have finished construction, delivering 1,389 units. Another six (1,572 units) are under construction.

