By Adrienne St. Clair and Roland Murphy for Arizona Builder’s Exchange
Architecture All & Associates has submitted a proposal to the City of Peoria on behalf of Dr. Satinder Purewal to build a behavioral health facility in the Trianna Park development.
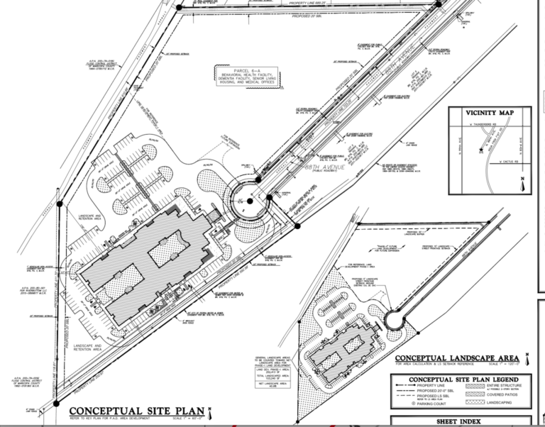
The new 24-hour inpatient Springdale Center will be a 43KSF one-story building, though it will feature two-stories in the entrance for an atrium and administrative offices. The building will have four wings that will consist of either 24 or 30 beds. At full capacity, the facility can house 108 patients. Plans also include a dementia facility.
The 12.42-acre lot is part of the 48 acres that make up Trianna Park, which is owned by Gray Development Group. The vacant site is located near several existing medical offices and health facilities, which will support the site’s intended use. It is located just south of the SWC of Thunderbird Road and 88th Avenue. Thunderbird Road acts as the northern boundary, and the Loop 101 borders the site to the south and east. The New River corridor runs to the west.
The current request doesn’t require any change in zoning. However, the new project does require an amendment to the Trianna Park Planned Area Development’s allowable uses for the parcel. Currently the PAD allows for single-family residential and senior living housing, but the uses need to be expanded.
Dr. Purewal owns the property and will manage and operate Springdale Center. According to the project narrative, he is “a leading Arizona psychiatrist” who “is actively involved in the development and treatment” of patients who require behavioral, mental and stress-related treatment, even as they live relatively normal lives. Purewal has found a significant need for more inpatient and outpatient facilities for these individuals, the submittal states.
“With the ever-growing population, many of his patients as well as other individuals in Arizona requiring specialized care on inpatient and outpatient bases have to wait several days as there are not enough facilities available in general Phoenix and Metropolitan Area,” according to the narrative.
The majority of treatment offered at Springdale Center will be for intellectual or emotional difficulties, either inherited or developed from environmental factors, according the proposal. The center will treat patients 12 years and older, though it is anticipated that 25 percent of the patient population will be younger than 18, while the rest will be adults.
According to the project narrative, “Architectural features and design considerations for this building is functionally designed to keep in-house daily activities within the perimeter of the building and within the enclosed open-air atriums. The perimeter CMU walls with wrought iron fence will further enhance the security, privacy, and noise transmission from both sides. The building is designed with contemporary features and appealing masses of various heights, thick overhangs, glass fronts, enlarged entry porch, metal roofing, angled walls, stone veneer, steel columns, exposed block, stucco and complimentary light and dark color combinations. The front area will be nicely landscaped and parking is distributed evenly to minimize monotonous look.”
Peoria City Council approved the Major Planned Area Development Amendment at their October 16th meeting.

