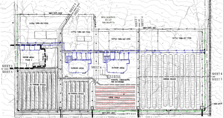
The Maricopa County Board of Supervisors has approved a special use permit for Gambler’s Row, a 75-acre equestrian and RV park development planned in Aguila.
Plans call for two 34KSF outdoor arenas, a 34KSF indoor arena, cattle pens, retail/concession areas, restrooms and public parking. There will also be two 140-space RV parks and three comfort stations, as well as on-site horse boarding.
The staff report noted an equestrian use in a remote location was appropriate for the area and that much of the surrounding area is controlled by the project applicant and supporters.
The proposal has generated extensive public engagement from area residents. Hundreds of form letters and individual statements were submitted both in support and in opposition. Opponents expressed concerns about traffic, dust, light pollution, water issues, animal waste and the site’s proximity to existing residential airparks. Opponents said Aguila is not equestrian-centric like other locations in the area and is, instead “an aviation community.” They fear the airparks’ operations and those of Gamber’s Row will be incompatible.
Earlier concerns had led to the proposal being referred back to the Planning and Zoning Commission last year. Planner Huitt-Zollars and owner TJL Properties made changes to the plan and conducted additional community outreach.
No construction timelines have been released. (Source)

